保定卓正大厦立面装修及裙房改造,星座广场局部优化方案公布
搜狐焦点保定站 2024-05-17 14:12:44
用手机看
扫描到手机,新闻随时看
扫一扫,用手机看文章
更加方便分享给朋友
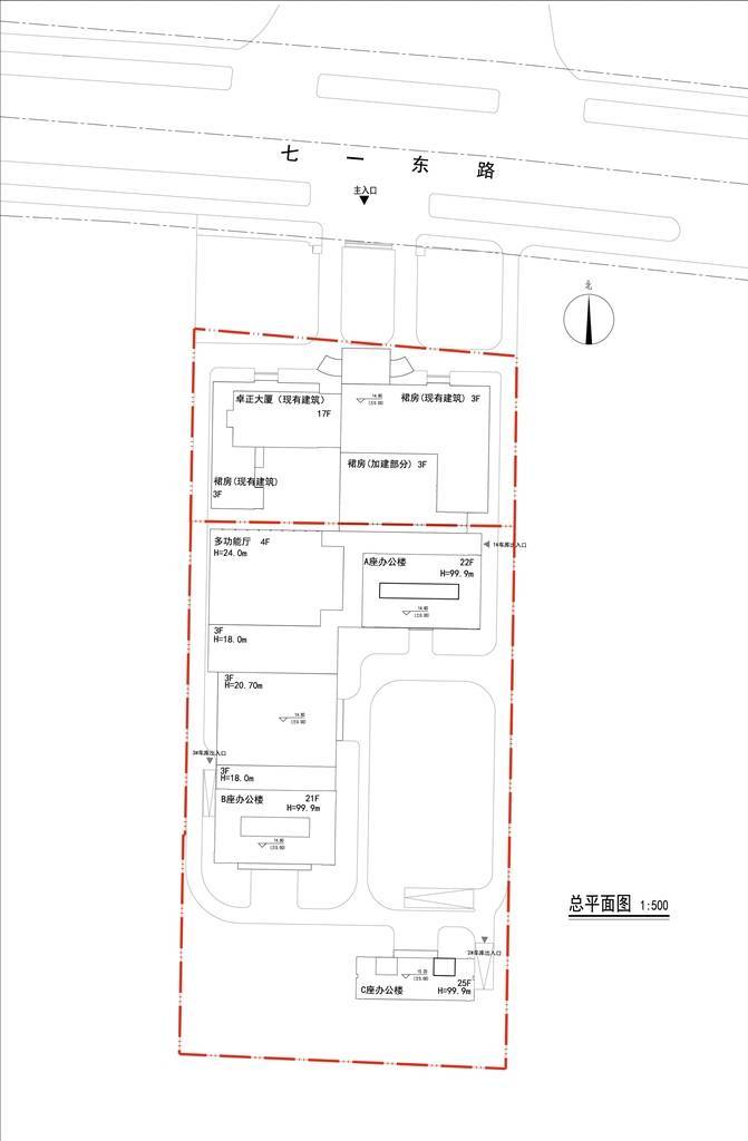
由荣盛建筑设计有限公司编制的《卓正大厦立面装修及裙房改造、星座广场建设工程设计方案局部优化》经保定市国土空间规划委员会2024年第1次全体会议审议通过,现将方案予以公布。
由荣盛建筑设计有限公司编制的《卓正大厦立面装修及裙房改造、星座广场建设工程设计方案局部优化》经保定市国土空间规划委员会2024年第1次全体会议审议通过,现将方案予以公布。
卓正大厦与星座广场用地毗邻,位于保定市莲池区七一路南,东三环东。规划用地性质均为商业用地。为统筹卓正大厦与星座广场相关建筑功能,增强整体性,对卓正大厦裙房进行改造、主楼进行立面装修,星座广场局部进行优化:
1、卓正大厦拆除裙房部分4层用房、并扩建1-3层,同时对内部空间进行改造,增加消防通廊。
2、卓正大厦外立面进行装修,与星座广场整体风貌相协调。
3、星座广场对裙房局部平面进行扩展优化,与卓正大厦裙房相衔接,同时结合功能需求优化局部房间层高,优化外立面;
4、C座由26层降为25层。
卓正大厦裙房改造及星座广场局部优化后,容积率指标均符合原批准方案。
2024年5月17日
声明:本文由入驻焦点开放平台的作者撰写,除焦点官方账号外,观点仅代表作者本人,不代表焦点立场。



