公告丨保定新能源与能源装备制造产业园A区建设工程设计方案
搜狐焦点保定站 2025-05-29 08:50:02
用手机看
扫描到手机,新闻随时看
扫一扫,用手机看文章
更加方便分享给朋友
关于发布《保定新能源数字经济产业园基础设施建设项目新能源与能源装备制造产业园A区(生产性服务业)建设工程设计方案》的公告由中国建筑科学研究院有限公司编制的《保定新能源数字经济产业园基础设施建设项目新能源与…

关于发布《保定新能源数字经济产业园基础设施建设项目新能源与能源装备制造产业园A区(生产性服务业)建设工程设计方案》的公告
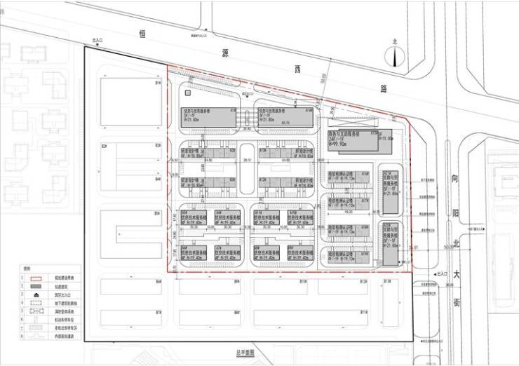
由中国建筑科学研究院有限公司编制的《保定新能源数字经济产业园基础设施建设项目新能源与能源装备制造产业园A区(生产性服务业)建设工程设计方案》经保定市国土空间规划委员会2025年第二次全体会议审议通过,现将规划方案予以公布。
项目位于恒源西路南、向阳北大街西、旭阳路北,用地面积62695.90平方米(约合94.04亩),规划用地性质为工业用地(生产性服务业)。控规指标为:容积率≥1.3、≤3.5,建筑密度≥25%、≤50%,绿地率≥20%。总建筑面积约11.87万平方米,其中地上建筑面积约9.86万平方米,地下建筑面积约2.01万平方米。包括2栋信息与贸易服务楼、4栋研发设计楼、8栋信息技术服务楼、1栋商务与支助服务楼、4栋检验检测认证楼、2栋支助与贸易服务楼。其他控制指标均符合规划要求。
2025年5月29日
声明:本文由入驻焦点开放平台的作者撰写,除焦点官方账号外,观点仅代表作者本人,不代表焦点立场。



