保定市满城区人民政府征收土地补偿安置公告
扫描到手机,新闻随时看
扫一扫,用手机看文章
更加方便分享给朋友
2024年8月30日,保定市满城区人民政府发布三则征收土地补偿安置公告,涉及要庄乡前大留村,南韩村镇东苟村。
以下为征地原文:
要庄乡前大留村及有关农户:
为了公共利益的需要,依据土地管理法律法规,现将保定市2024年度第5批次建设用地1号地土地征收补偿安置有关事项公告如下:
一、征收范围和目的
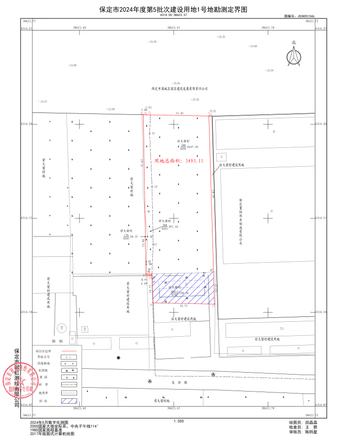
拟征收你村位于(东至:后大留村地;南至:前大留村建设用地;西至:前大留村地;北至:保定市满城区园区建设发展有限责任公司)0.0317公顷的土地。征地范围见《征地范围图》。征收目的是公共利益需要,依照规划进行工业用地建设。
二、土地现状
根据土地现状调查结果,拟征收你村土地约0.0317公顷,全部为农用地0.0317公顷(园地0.0317公顷)。具体情况详见《土地现状调查结果分户清单汇总表》。
三、补偿方式与标准
土地补偿费和安置补助费标准按照《河北省人民政府关于印发全省征地区片综合地价的通知》(冀政发〔2023〕8号)执行,为145.5万元/公顷(9.7万元/亩),共计4.6124万元,支付给被征地的农村集体经济组织后按有关规定分配。对地上附着物补偿方式为货币补偿。具体补偿标准按照保定市满城区人民政府办公室关于印发《保定市满城区要庄乡东黄村、西黄村、前大留村、后大留村、小许城村征地拆迁补偿标准实施细则》的通知文件执行。经确认,此次征收土地不涉及村民住宅、不涉及青苗。
四、安置对象、安置方式和社会保障措施
安置对象认定标准:以户籍和土地权属认定。
安置方式:货币补偿
社保措施:根据《河北省人民政府关于印发全省征地区片综合地价的通知》(冀政发〔2023〕8号)、《保定市满城区被征地农民参加基本养老保险参保补贴实施方案》(满政发〔2023〕1号),按照征地区片价的50%,缴纳被征地农民社保费2.3062万元。
五、补偿登记的方式和期限
自本公告发布之日起30日内,拟征收土地的所有权人、使用权人持不动产权属证明材料在要庄乡前大留村村委会办理补偿登记。
六、异议反馈渠道
自本公告发布之日起30日内,对征地补偿安置事项有意见建议的,可通过书面或电话方式进行反馈。过半数村集体经济组织成员认为征地补偿安置方案不符合法律、法规规定的,保定市满城区人民政府将组织听证。
本公告期限自2024年8月28日至2024年9月26日。本公告可在保定市满城区人民政府网站查询,网址为保定市满城区人民政府网http://www.mancheng.gov.cn/。
特此公告。
联系人:刘晶
联系电话:0312-7015037
附件:
1.前大留村征地范围图

保定市满城区人民政府
2024年8月28日
要庄乡后大留村及有关农户:
为了公共利益的需要,依据土地管理法律法规,现将保定市2024年度第5批次建设用地1号地土地征收补偿安置有关事项公告如下:
一、征收范围和目的
拟征收你村位于(东至:后大留村建设用地;南至:后大留村建设用地;西至:前大留村地、前大留村建设用地;北至:保定市满城区园区建设发展有限责任公司)0.3176公顷的土地。征地范围见《征地范围图》。征收目的是公共利益需要,依照规划进行工业用地建设。
二、土地现状
根据土地现状调查结果,拟征收你村土地约0.3176公顷,全部为农用地0.3176公顷(耕地0.0528公顷、园地0.2648公顷)。具体情况详见《土地现状调查结果分户清单汇总表》。
三、补偿方式与标准
土地补偿费和安置补助费标准按照《河北省人民政府关于印发全省征地区片综合地价的通知》(冀政发〔2023〕8号)执行,为145.5万元/公顷(9.7万元/亩),共计46.2108万元,支付给被征地的农村集体经济组织后按有关规定分配。对地上附着物补偿方式为货币补偿。具体补偿标准按照保定市满城区人民政府办公室关于印发《保定市满城区要庄乡东黄村、西黄村、前大留村、后大留村、小许城村征地拆迁补偿标准实施细则》的通知文件执行。经确认,此次征收土地不涉及村民住宅、不涉及青苗。
四、安置对象、安置方式和社会保障措施
安置对象认定标准:以户籍和土地权属认定。
安置方式:货币补偿
社保措施:根据《河北省人民政府关于印发全省征地区片综合地价的通知》(冀政发〔2023〕8号)、《保定市满城区被征地农民参加基本养老保险参保补贴实施方案》(满政发〔2023〕1号),按照征地区片价的50%,缴纳被征地农民社保费23.1054万元。
五、补偿登记的方式和期限
自本公告发布之日起30日内,拟征收土地的所有权人、使用权人持不动产权属证明材料在要庄乡后大留村村委会办理补偿登记。
六、异议反馈渠道
自本公告发布之日起30日内,对征地补偿安置事项有意见建议的,可通过书面或电话方式进行反馈。过半数村集体经济组织成员认为征地补偿安置方案不符合法律、法规规定的,保定市满城区人民政府将组织听证。
本公告期限自2024年8月28日至2024年9月26日。本公告可在保定市满城区人民政府网站查询,网址为保定市满城区人民政府网http://www.mancheng.gov.cn/。
特此公告。
联系人:刘晶
联系电话:0312-7015037
附件:
1.后大留村征地范围图
2.后大留村土地现状调查结果分户清单汇总表

保定市满城区人民政府
2024年8月28日
南韩村镇东苟村及有关农户:
为了公共利益的需要,依据土地管理法律法规,现将保定市2024年度第5批次建设用地2号地土地征收补偿安置有关事项公告如下:
一、征收范围和目的
拟征收你村位于(东至:国有建设用地;南至:东苟村地、东苟村建设用地;西至:东苟村地;北至:东苟村地)3.3221公顷的土地。征地范围见《征地范围图》。征收目的是公共利益需要,依照规划进行工业用地建设。
二、土地现状
根据土地现状调查结果,拟征收你村土地约3.3221公顷,全部为农用地3.3221公顷(耕地0.0025公顷、园地0.3196公顷)。具体情况详见《土地现状调查结果分户清单汇总表》。
三、补偿方式与标准
土地补偿费和安置补助费标准按照《河北省人民政府关于印发全省征地区片综合地价的通知》(冀政发〔2023〕8号)执行,为135万元/公顷(9万元/亩),共计448.4835万元,支付给被征地的农村集体经济组织后按有关规定分配。对地上附着物、青苗补偿方式均为货币补偿。具体补偿标准按照保定市满城区人民政府办公室关于印发《保定市满城区新兴产业园区征地拆迁补偿标准实施细则》的通知文件执行。经确认,此次征收土地不涉及村民住宅。
四、安置对象、安置方式和社会保障措施
安置对象认定标准:以户籍和土地权属认定。
安置方式:货币补偿
社保措施:根据《河北省人民政府关于印发全省征地区片综合地价的通知》(冀政发〔2023〕8号)、《保定市满城区被征地农民参加基本养老保险参保补贴实施方案》(满政发〔2023〕1号),按照征地区片价的50%,缴纳被征地农民社保费224.2418万元。
五、补偿登记的方式和期限
自本公告发布之日起30日内,拟征收土地的所有权人、使用权人持不动产权属证明材料在南韩村镇东苟村村委会办理补偿登记。
六、异议反馈渠道
自本公告发布之日起30日内,对征地补偿安置事项有意见建议的,可通过书面或电话方式进行反馈。过半数村集体经济组织成员认为征地补偿安置方案不符合法律、法规规定的,保定市满城区人民政府将组织听证。
本公告期限自2024年8月28日至2024年9月26日。本公告可在保定市满城区人民政府网站查询,网址为保定市满城区人民政府网http://www.mancheng.gov.cn/。
特此公告。
联系人:刘晶
联系电话:0312-7015037
附件:
1.东苟村征地范围图
2.东苟村土地现状调查结果分户清单汇总表

保定市满城区人民政府
2024年8月28日
来源:保定市满城区人民政府
声明:本文由入驻焦点开放平台的作者撰写,除焦点官方账号外,观点仅代表作者本人,不代表焦点立场。



