保定高新区春江锦上二期项目建设工程批后公示
扫描到手机,新闻随时看
扫一扫,用手机看文章
更加方便分享给朋友
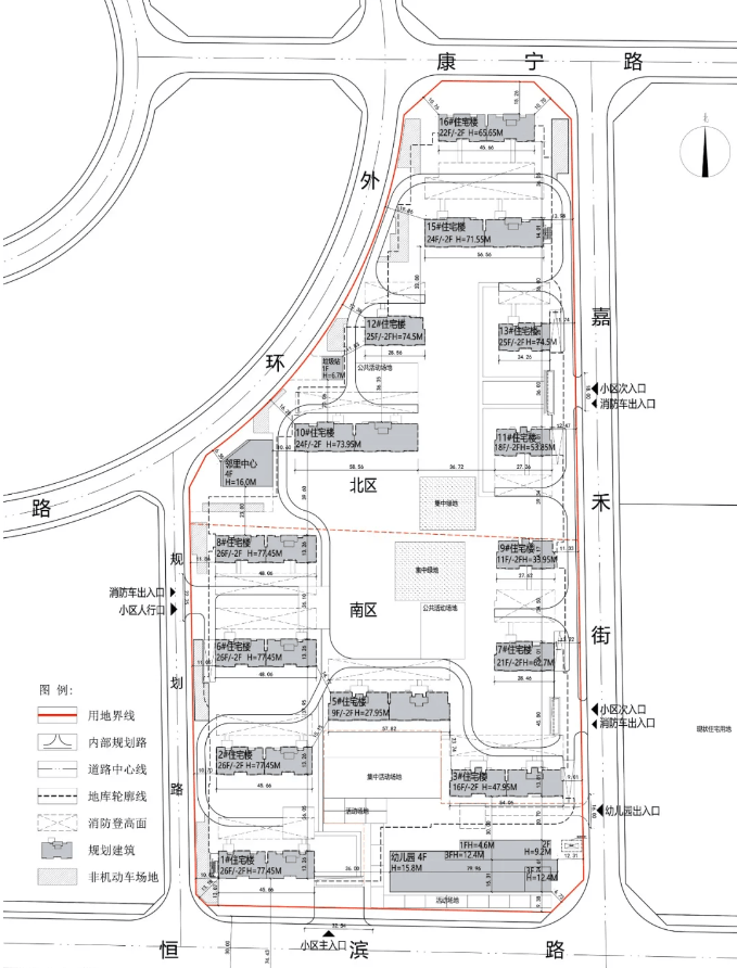
2022年10月14日,保定市自然资源和规划局高新区分局公布了保定润通房地产开发有限公司春江锦上二期(春明苑)项目1#-3#、5#-7#住宅楼、幼儿园、地下车库南区建设工程批后公示。

春明苑项目位于康宁路南侧、恒滨路北侧、嘉禾街西侧,用地面积约58777.60平方米(约38.17亩),规划用地性质为居住用地。
控规指标:容积率≥1.0、≤2.8,建筑密度≤20%,绿地率≥35%。总建筑面积约22.21万平方米,其中:地上建筑面积约16.87万平方米,
地下建筑面积约5.34万平方米,包括14栋住宅楼、1栋邻里中心、1座幼儿园、1栋垃圾站,其他控制指标均符合规划要求。
项目划分为南北两区,其中南区用地面积约32950.20平方米(约49.43亩),总建筑面积约12.52万平方米,其中:地上建筑面积约9.50万平方米,地下建筑面积约3.02万平方米。北区用地面积约25827.40平方米(约38.74亩),总建筑面积约9.69万平方米,其中:地上建筑面积约7.37万平方米,地下建筑面积约2.32万平方米。


来源:保定国家高新技术产业开发区管理委员会
声明:本文由入驻焦点开放平台的作者撰写,除焦点官方账号外,观点仅代表作者本人,不代表焦点立场。



